Tricentis Tosca Integration With TestMu AI’s Cloud Based Selenium Grid
TestMu AI provides support with Selenium WebDriver for pacing the execution of your automation test scripts. TestMu AI is a cloud-based, cross browser testing tool, providing a Selenium Grid of 3000+ browsers and browser versions running through real operating systems to speed up automation testing of your web-app or website. This topic will help you to automate your website testing using Tricentis Tosca on TestMu AI.
This topic will be focusing on:
- Running a sample Tricentis Tosca testcases on TestMu AI Automation.
Prerequisites For Running Tricentis Tosca Test Cases On Selenium Grid
- Log in to TestMu AI. If you haven’t signed up yet, click here.
- TestMu AI Authentication Credentials: Be aware of your TestMu AI authentication credentials i.e. your TestMu AI username, access key and HubURL.You can retrieve them from your TestMu AI automation dashboard by clicking on the key icon near the help button.
- Download Tosca by logging in to the Tosca website.
Sample Test Scenario
For demonstrating Tosca-TestMu AI integration, we would be considering the following test scenario:
- Open TestMu AI Selenium PlayGround.
- Click the "Simple Form Demo" link.
- Enter the text "Happy Testing" in the text box.
- Click the "Get Checked value" button.
- Verify if the entered text is present under the "Your Message" section.
Integrating Tricentis Tosca With TestMu AI
Step 1: Launch the Tosca Commander.
Step 2: Click Create new . In Create new workspace, select Type of Repository as None and set workspace as Tosca_Demo.
Step 3: On the successful project creation, click the Modules tab, right-click on the panel, then select Scan -> Application.
Step 4: Open Chrome browser and enter test URL.
Step 5: On the Select Application screen, select the Chrome browser instance that was open in the earlier step and click Scan
Step 6: Now you will be prompted to install Tosca Extension.
Step 7: Click on Advanced in Tosca XScan Window.
Step 8: Click Select on screen.
Step 9: Select the Simple Form Demo link and Tosca XScan will capture the highlighted element.
Step 10: Click Finish Screen.
Step 11: In the browser click the Simple Form Demo link, navigate to the Simple Form Page. ReOpen Tosca XScan ,Click Select on screen and capture required elements for test case.(input text box, "Get Checked value" button and text area to validate)
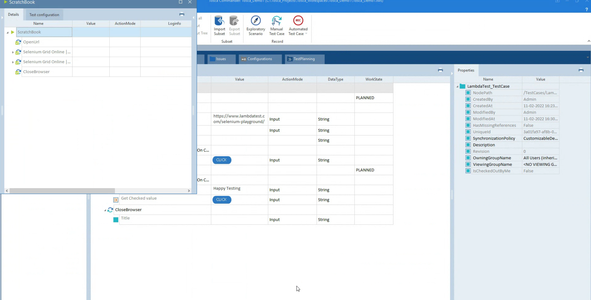
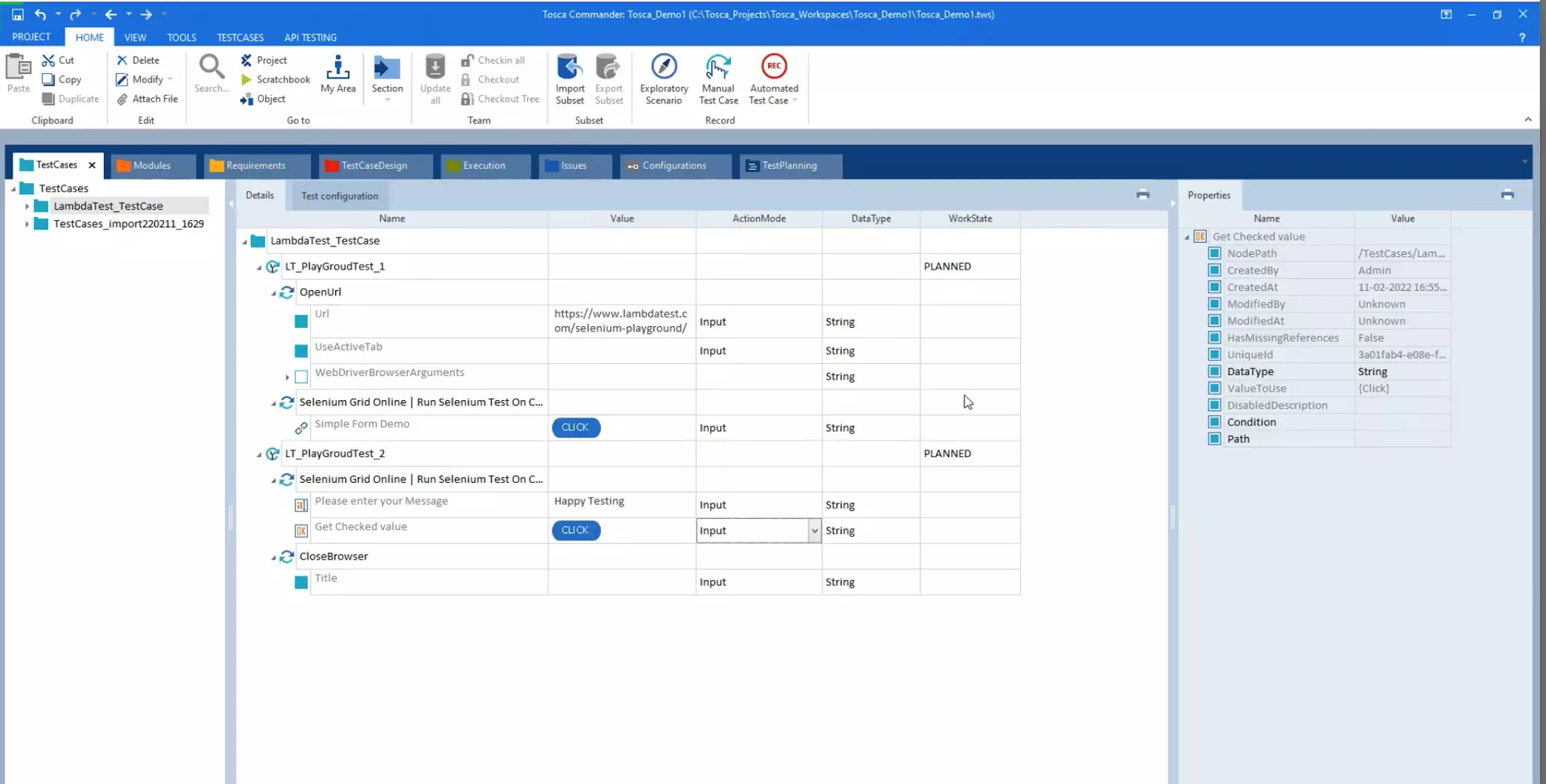
Step 12: On completion click Finish Screen All the captured elements are listed under Modules are below:
Step 13: Go to TESTCASES and create a folder named TestMu AI_TestCase.
Step 14: Drag the Modules created in the earlier steps to the new test case Details tab.
Step 15: To add commonly used modules in the test case, go back to the Modules tab. Click HOME in the menu bar, then click Import Subset.
Step 16: Select standard.tsu file from <installation_path>/Tosca_Projects/ToscaCommander folder.
Step 17: Navigate back to TestCases Details tab, update the test step names:
- New TestCase to LT_PlayGroudTest_1
- New TestCase_1 to LT_PlayGroudTest_2
Step 18: Select the first test case and press CTRL + T. This will display a list of all the common modules. Type OpenUrl in the search box and select the OpenUrl module to add to the test case.
Step 19: Again press CTRL + T type CloseBrowser in the search box, select CloseBrowser module to add to the test case.
Shown below is the final test case view.
Step 20: Enter relevant details in Value and ActionMode columns for every test step
Step 21: For adding test configuration, navigate to the TestCase -> Test Configuration, right-click and click Create Test configuration parameter button.
Step 22: Add below name and values in Test Configuration:
For Web Browser Automation
For Mobile Browser Automation (Emulators & Simulators)
For Mobile Browser Automation (Real Device)
- Enter relevant details in Value and ActionMode columns for every test step.
- Add below name and values in Test Configuration.
You can refer our Desired Capability Generator to choose different browser combination.
Step 23: Go to the Details tab then Right-click on the test case and select Run in ScratchBook. This will launch the test on TestMu AI Platform.
Once execution is completed result window populate in Tosca
Monitor and analyze your test result on the TestMu AI Automation Dashboard.
How To Use TestMu AI Custom Capabilities in Tosca
There are few custom capabilities like network logs,console logs in TestMu AI platform to enable Logs on execution.
To use a WebDriver capability,
- Prefix the capability with "WebDriver_"*, for ex: WebDriver_console.
- If the name of the capability contains a dot (.), replace this character with double underscore (_). If the name of the capability contains a colon (:), replace this character with triple underscore (__).
With this enabled log when you execute the test case, you can see logs in TestMu AI Plateform once execution completes.
Geolocation Testing in Tosca with TestMu AI
Test the performance of your web-app through different geographic locations by setting LamdaTest Capability "geoLocation". Set this Capability in Tosca as "WebDriver_geoLocation"with Value of "IN"as shows below
In TestMu AI Plateform , You can see check the log to validate the Web Application is launched with given GeoLocation.
Testing Locally Hosted or Privately Hosted Projects
To help you perform cross browser testing of your locally stored web pages, TestMu AI provides an SSH(Secure Shell) tunnel connection with the name Lambda Tunnel. With Lambda Tunnel, you can execute a test server inside your GitLab CI build a container to perform automated cross browser testing on browsers offered by Selenium grid on TestMu AI. So you make sure how well your changes look, even before your customers. Curious to know more about Lambda Tunnel?
Follow our documentation on Lambda Tunnel to know it all. OS-specific instructions to download and set up tunnel binary are at the following links.
Download the binary file of:
Set the Tunnel Capability in Toasca as shown below
In TestMu AI logs you can validate whether Tunnel is enaled or not from Tosca as shown below.
In case you face any problems during the integration, or have any other questions, reach out to us on our 24/7 chat support.
Happy testing!
